














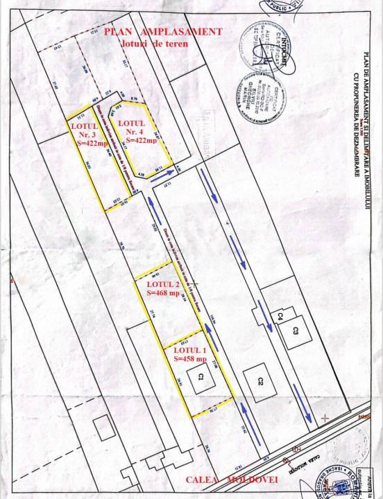
Se ofera spre vanzare, in exclusivitate, un numar de 4 loturi de teren intravilan cu suprafate de 468 mp si de 422 mp, situate in Municipiul Bacau, str. Calea Moldovei, jud. Bacau.
Accesul la loturile de teren din/spre str. Calea Moldvei se face pe un drum in cota indiviza, cu latimea de 4 m, pe un traseu in forma de „U”, conform detaliilor din schita cu Planul de amplasament din galeria de imagini alaturata.
Preturile loturilor de teren sunt urmatoarele:
-lotul nr. 1 cu sup. de 468 mp are pretul de 160 Euro/mp
-lotul nr. 2 cu sup. de 468 mp are pretul de 139 Euro/mp
-lotul nr. 3 cu sup. de 422 mp are pretul de 118 Euro/mp
-lotul nr. 4 cu sup. de 422 mp are pretul de 118 Euro/mp
Pretul din anunt este individualizat pentru lotul nr. 2.
In acelasi pret se vinde si o cota indiviza din terenul cu destinatie de drum de acces la fiecare lot de teren.
Loturile de teren au certificat de urbanism de construire de data recenta(2026), functiunea dominanta a zonei fiind locuirea(locuinte individuale cu regim de inaltime maxim P+2), POT max=50%, CUT=0,80(P+1) sau1,20(P+2). Certificatul de urbanism se poate pune la dispozitia celor interesati.
Suprafetele, distantele si configuratia loturilor de teren sunt conform schitei cu Planul de amplasament din galeria de imagini alaturata.
Principalele utilitati(curent electric, apa si gaz metan) sunt in proximitate, mai exact in punctul de incepere a drumului de acces la locatia respectiva din Calea Moldovei, in vecinatate fiind deja edificate locuinte individuale.
Pentru detalii suplimentare relatii la tf. 0745364114.